Mirá el recorrido del huracán Florence en vivo
El huracán Florence avanzaba este martes con vientos de más de 220 km/hora hacia la costa este de Estados Unidos. Se ha ordenado la evacuación de más de un millón de personas.
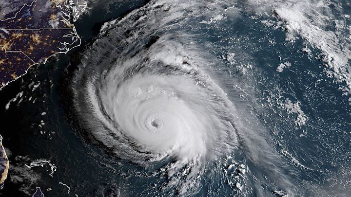
Florence se debilitó ligeramente hoy al bajar sus vientos máximos sostenidos a 130 millas por hora (215 km/h) mientras se aproxima a Las Carolinas, en la costa sureste de Estados Unidos, pero se espera que se intensifique de nuevo esta tarde, informó el Centro Nacional de Huracanes (NHC).
El "extremadamente peligroso" huracán de categoría 4 Florence se encuentra a 405 millas (655 kilómetros) al sur de Bermudas y a 950 millas (1.530 kilómetros) al este-sureste del cabo de Fear, en Carolina del Norte, indicó el NHC en el boletín de las 12.00 GMT de hoy.
Se ha emitido una vigilancia de marejada ciclónica y de huracán desde Edito Beach, en Carolina del Sur, hasta la frontera con Carolina del Norte y Virginia. Una vigilancia de marejada ciclónica significa que "existe la posibilidad de inundaciones que amenacen la vida" debido a un aumento del nivel del mar "moviéndose tierra adentro" en las próximas 48 horas.
Según un probable patrón de trayectoria, el centro de Florence se moverá entre Bermudas y las Bahamas hasta mañana, miércoles, y se acercará a la costa de Carolina del Norte o Carolina del Sur el jueves. Lea también: Un millón de personas deben evacuar en Carolina del Sur
Los expertos del NHC prevén que Florence se intensifique más en las próximas 24 horas y se mantenga como un huracán "extremadamente peligroso" hasta el jueves. La peligrosa marejada ciclónica causará que áreas que son normalmente secas cerca de la costa "se inunden por un aumento del nivel" del mar que podría alcanzar entre 2 y 4 pies (60 centímetros y 1,20 metros) de altura en Edisto Beach y la ensenada de Murrells. Y hasta 6 pies (1,80 metros) entre la ensenada de Murrells y Cabo Fear.
Se espera que Florence produzca acumulaciones totales de lluvia de entre 15 y 20 pulgadas (38-50 centímetros), con cantidades aisladas de 30 pulgadas en zonas de Carolina del Norte, Virginia y el norte de Carolina del Sur hasta el próximo sábado. "Esta lluvia pudiera ocasionar inundaciones repentinas que amenacen la vida humana", advirtió el NHC.
Mientras, un huracán de categoría 2, Helene, e Isaac, que se degradó hoy de ciclón de categoría 1 a tormenta tropical, continúan su avance por aguas del Atlántico sin representar peligro en tierra. Helene se encuentra a 620 millas (995 kilómetros) al oeste de las islas de Cabo Verde, en la costa noroeste africana, y a 1.570 millas (2.530 kilómetros) al sursuroeste de las islas Azores.
Arrastra vientos máximos sostenidos de 110 millas por hora (175 km/h). Se desplaza rápidamente hacia el oeste-noroeste con una velocidad de traslación de 14 millas por hora (22 km/h) y se espera que gire hacia el norte-noroeste a partir del miércoles y jueves próximos.
Además, se anuncia un "fortalecimiento adicional" de Helene en las próximas 12 horas, pero le seguirá "un gradual debilitamiento". El otro sistema en la mira de los meteorólogos es Isaac, que perdió intensidad y se degradó a tormenta tropical en el centro del Atlántico.
Isaac arrastra vientos máximos sostenidos de 70 millas por hora (110 km/h), según el último boletín del NHC. Se mueve hacia el oeste y se encuentra a 880 millas (1.420 kilómetros) al este de las Antillas Menores y se prevé que se desplace a través de estas y el este del Caribe el jueves.
Fuente: ElEspectador.com

